Bebauungsplan Nr. 233 – 1. Änderung - „Am Erdbeerhof II“ OT Gleidingen (gem. §13a BauGB)
Öffentliche Bekanntmachung
Bauleitplanverfahren
Bebauungsplan Nr. 233 – 1. Änderung - „Am Erdbeerhof II“
OT Gleidingen (gem. §13a BauGB)
Verfahrensschritt:
Schlussbekanntmachung gemäß § 10 (3) BauGB.
Satzungsbeschluss:
Der Rat der Stadt Laatzen hat den Bebauungsplan Nr. 233, - 1. Änderung - im beschleunigten Verfahren gemäß § 13a BauGB ohne Durchführung einer Umweltprüfung nach § 2 (4) BauGB am 26.09.2024 als Satzung beschlossen.
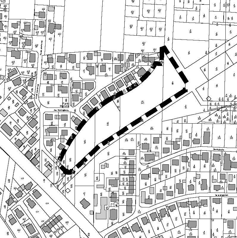
Geltungsbereich:
Der räumliche Geltungsbereich des Bebauungsplanes 233 - 1. Änderung - „Am Erdbeerhof II“ liegt im Ortsteil Gleidingen und wird begrenzt:
- im Norden durch die Flurstücke der Gemarkung Gleidingen, Flur 9, 16/29, 16/28, 16/23, 16/22, 12/23, 13/20, 12/15, 12/11, 11/196, 11/117, 11/118, 11/121, 11/120, 11/101, 11/138,
- im Osten durch das Flurstück der Gemarkung Gleidingen, Flur 9, 5/28,
- im Süden durch die Flurstücke der Gemarkung Gleidingen, Flur 9, 5/28, 11/144, 12/45, 13/26, 15/21,
- im Westen durch die Flurstücke der Gemarkung Gleidingen, Flur 9, 15/20, 16/31.
Der Geltungsbereich umfasst die Flurstücke der Gemarkung Gleidingen, Flur 9, 16/30, 15/19, 13/25, 12/44, 12/25, 11/143, 5/30.
(siehe unten schwarz umgrenzter Bereich im nachstehenden Übersichtsplan)
Inkrafttreten:
Mit der Bekanntmachung in der für die Stadt Laatzen örtlich zuständigen Ausgabe der „Hannoverschen Allgemeinen Zeitung“, den „Leine-Nachrichten“, wird der Bebauungsplan Nr. 233 – 1. Änderung - „Erdbeerhof II“ sowie die dazugehörige Begründung rechtswirksam.
Hinweise zu verbindlichen Bauleitplänen:
1) Der Bebauungsplan Nr. 233 - 1. Änderung - „Am Erdbeerhof II“ und die dazugehörige Begründung können ab sofort im Rathaus der Stadt Laatzen, Dienstgebäude Gutenbergstraße 15, 30880 Laatzen, (3.OG), nach Terminvereinbarung mit dem Team Stadtplanung telefonisch und über die E-Mail Adresse stadtplanung@laatzen.de eingesehen werden. Jedermann kann über den Inhalt Auskunft verlangen.
2) Es wird darauf hingewiesen, dass folgende Verletzungen von Vorschriften bei der Aufstellung des Bebauungsplanes gemäß § 215 (1) BauGB durch Fristablauf unbeachtlich werden:
1. eine nach § 214 (1) Satz 1 Nr.1 bis 3 BauGB beachtliche Verletzung der dort bezeichneten Verfahrens- und Formvorschriften,
2. eine unter Berücksichtigung des § 214 (2) BauGB beachtliche Verletzung der Vorschriften über das Verhältnis des Bebauungs- und des Flächennutzungsplanes,
3. nach § 214 (3) Satz 2 BauGB beachtliche Mängel der Abwägung, und
4. nach § 214 (2 a) Nr. 3 und Nr. 4 BauGB beachtliche Mängel im beschleunigten Verfahren gemäß § 13 a BauGB,
wenn sie nicht innerhalb eines Jahres seit Bekanntmachung der Satzung schriftlich gegenüber der Gemeinde unter Darlegung des die Verletzung begründenden Sachverhaltes geltend gemacht worden sind.
3) Auf die Vorschriften des § 44 (3) Satz 1 und 2 sowie (4) BauGB über die Entschädigung von durch den Bebauungsplan Nr. 233 – 1. Änderung - „Am Erdbeerhof II“ eingetretenen Vermögensnachteilen sowie über die Fälligkeit und das Erlöschen entsprechender Entschädigungsansprüche wird hingewiesen.
4) Diese öffentliche Bekanntmachung können auch im Internet unter der Adresse http://www.laatzen.de/de/bekanntmachungen.html eingesehen werden.
Laatzen, den 15.11.2024
Der Bürgermeister
gez. Kai Eggert


