Flächennutzungsplan - 83. Änderung - für den Bereich des Bebauungsplanes Nr. 341 „Feuerwehr - Am Holztor“, OS Ingeln- Oesselse
Öffentliche Bekanntmachung
Bauleitplanverfahren
Flächennutzungsplan - 83. Änderung - für den Bereich des Bebauungsplanes Nr. 341 „Feuerwehr - Am Holztor“, OS Ingeln- Oesselse
Verfahrensschritt:
Schlussbekanntmachung gemäß § 6 (5) BauGB.
Die Region Hannover hat den vom Rat der Stadt Laatzen am 18.09.2025 beschlossenen Flächennutzungsplan - 83. Änderung - gemäß § 6 BauGB mit Verfügung vom 25.11.2025 - AZ: 61.03 – 21101 – 83/09 – 12/25 - genehmigt.
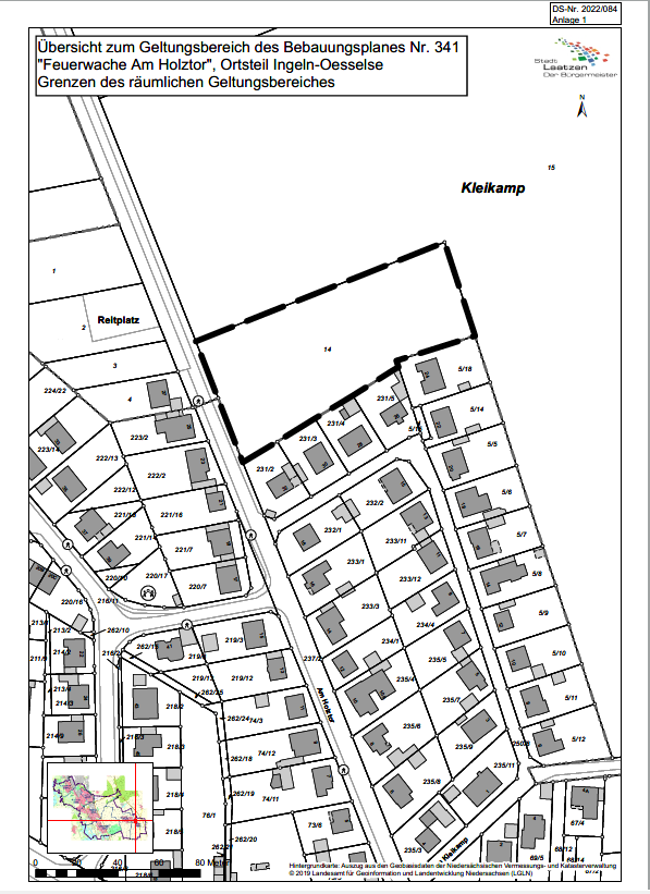
Geltungsbereich:
Der Geltungsbereich des Flächennutzungsplanes - 83. Änderung - umfasst das Flurstück 14 der Gemarkung Ingeln, Flur 3. Das Flurstück befindet sich am nordöstlichen Ende der Straße Am Holztor im Ortsteil Ingeln.
(siehe schwarz umgrenzter Bereich im Übersichtsplan)
Quelle: Auszug aus den Geobasisdaten der Niedersächsischen Vermessungs- und Katasterverwaltung (unmaßstäblich)
Inkrafttreten:
Mit der Bekanntmachung in der für die Stadt Laatzen örtlich zuständigen Ausgabe der Hannoverschen Allgemeinen Zeitung, den „Leine-Nachrichten“, wird der Flächennutzungsplan - 83. Änderung - und die dazugehörige Begründung wirksam.
Hinweise zu Bauleitplänen:
1) Der Flächennutzungsplan - 83. Änderung - die dazugehörige Begründung und die zusammenfassende Erklärung gemäß § 6a (1) BauGB können ab sofort im Rathaus der Stadt Laatzen, Dienstgebäude Gutenbergstraße 15, 30880 Laatzen, (3.OG), nach Terminvereinbarung mit dem Team Stadtplanung telefonisch über die Telefonzentrale (0511) 8205 1 oder über die E-Mail-Adresse stadtplanung@laatzen.de eingesehen werden. Über den Inhalt kann Auskunft verlangt werden.
2) Es wird darauf hingewiesen, dass folgende Verletzungen von Vorschriften bei der Aufstellung des Flächennutzungsplanes - 83. Änderung - gemäß § 215 (1) BauGB durch Fristablauf unbeachtlich werden:
1. eine nach § 214 (1) Satz 1 Nr.1 bis 3 BauGB beachtliche Verletzung der dort bezeichneten Verfahrens- und Formvorschriften,
2. eine unter Berücksichtigung des § 214 (2) BauGB beachtliche Verletzung der Vorschriften über das Verhältnis des Bebauungs- und des Flächennutzungsplanes,
3. nach § 214 (3) Satz 2 BauGB beachtliche Mängel der Abwägung,
wenn sie nicht innerhalb eines Jahres seit Bekanntmachung der Satzung schriftlich gegenüber der Gemeinde unter Darlegung des die Verletzung begründenden Sachverhaltes geltend gemacht worden sind.
3) Diese öffentliche Bekanntmachung kann auch im Internet unter der Adresse https://www.laatzen.de/de/bekanntmachungen.html eingesehen werden.
Laatzen, den 04.12.2025
Der Bürgermeister
Kai Eggert


